BG大游集团

您当前位置:网站BG大游集团 >关于我们>产业布局 > 石河子市BG大游集团现代农业装备研发和智能制造生产基地

石河子市BG大游集团现代农业装备研发和智能制造生产基地

作者:  来源:  发布时间:2025-07-01 10:10:21  点击数:0

a1


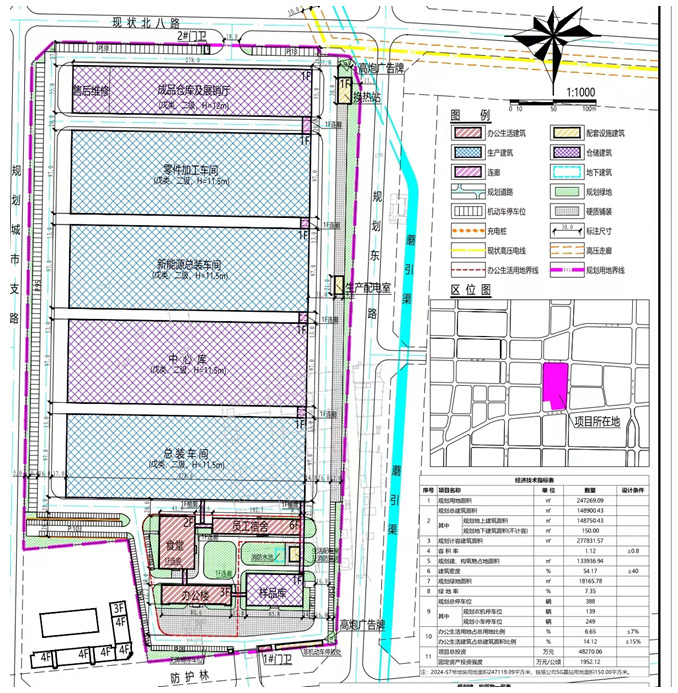
石河子市BG大游集团现代农业装备研发和智能制造生产基地建设项目

项目选址:位于石河子总场,乌伊公路北,规划东一路西,北八路南,规划东小路东,占地面积:247269.09㎡,总投资规模及内容:84000万,拟占地面积370.68亩,总建筑面积149852.27平方米,其中包含办公楼、员工宿舍、食堂、样品库、零件加工车间、新能源总装车间、中心库、总装车间、成品仓库、一#门卫(消防控制室)、2#门卫、连廊、檐廊、非机动车停车棚、换热站、生产配电室、生活配电室、消防泵房及消防水池。


a2


a3


a4


a5



公众号

  • 乌苏大区(刘帅 ) 189 3588 8895
  • 石河子大区(张海龙 )188 9949 9888
  • 沙雅大区(孙来甫) 177 9947 5888
  • 阿拉尔大区(朱全生 )177 9947 6888
  • 抖音号

  • 快手号

  • 视频号

  • 售后电话:400-0685588

版权所有   新疆BG大游集团智能农机股份有限公司   All Rights Reserved    地址:新疆乌鲁木齐市高新区(新市区)长春北路2800号   邮编:830000

备案号:    新公网安备202506000***3号